The Street Seen: Shutters on the Beach
1 Pico Boulevard @ Ocean Front Walk
The former Edgewater Beach Club at Pico and Ocean Front Walk is demolished in 1964. Despite attempts to develop the beachfront property, it remains vacant for the next 25 years. In 1987, the under-construction Santa Monica Beach Hotel becomes bankrupt. In 1991, the property is bought out of bankruptcy, and Shutters on the Beach opens in 1993.
Unbuilt Projects (1962 to 1984)
In 1962, A.S. Epstein acquires the Edgewater Beach Club property, and the building is demolished in 1964. The property address becomes One Pico Boulevard. However, this attractive beachfront property is unexpectedly difficult to develop. These are some of the never-built projects:
In 1962, Epstein announces plans for the Del Mar Towers, two 20-story apartment towers to be built on the site.
In 1963, the City approves a 26-story apartment tower on the Edgewater site, plus a swimming pool and recreational facility on the beach west of Ocean Front Walk.
The property is acquired by Holiday Inn, which plans a 400-unit 15-story hotel.
In 1981, Bruce and Diane Frome, the former owners of Fromex One Hour Photo Systems, gain approval for a 20-unit 3-story condominium project on the Edgewater site. As a condition of approval, 12 low-income apartment units are to be built on the lot across Appian Way.
In 1984, Leon Pizante, an attorney, and Adolfo Zlotolow, a physician buy the property out of bankruptcy for $2.50MM. They intend (reluctantly) to build the approved Frome project.
Santa Monica Beach Hotel (1985 to 1991)
Sam C. Stein, general partner of R.E. International, acquires the Edgewater property plus the property across Appian Way for the Santa Monica Beach Hotel (SMBH).1
Approval (1987)
A hotel project on the beach is subject to much scrutiny, and it takes Stein three years of lobbying before he receives Santa Monica approval.2 In 1987, on appeal of the Planning Commission denial, the City Council approves the 6-story, 196-room hotel SMBH project.
Design (1988)
The Santa Monica Beach Hotel is designed3 as three separate but integrated buildings. The two beachfront buildings (on Parcel A) have indoor and outdoor dining facilities, meeting rooms, banquet facilities, and a small ballroom. The design, with low-scale hipped roofs and open porches, is intended to evoke 1920s Santa Monica beach residences.
The 6-story building (on Parcel B) to the east, connected by a bridge over Appian Way, contains most of the 196 guest rooms and parking for 496 automobiles.
The design of the east building includes balconies and hipped roof elements to lend a unifying treatment between the buildings.
Construction (1988)
In August 1988, Phoenix-based Gosnell Builders is hired as the general contractor. The hotel, operating as the Park Hyatt Santa Monica Beach, is expected to open in January 1990.
Bankruptcy (1991)
By 1991, following construction delays, cost overruns, and disputes between the owner, SMBH, and the general contractor, Gosnell Builders, the cost has soared to an estimated $130MM, and construction has stopped. Tokai Bank forecloses on its $71MM loan, and SMBH goes into bankruptcy.4
Shutters on the Beach Hotel (1993)
In 1991, third-generation hoteliers and brothers Thomas and Edward Slatkin5 acquire One Pico Boulevard out of bankruptcy for $18.75MM. After being stalled for more than a year, construction resumes. Shutters on the Beach opens in June 1993.
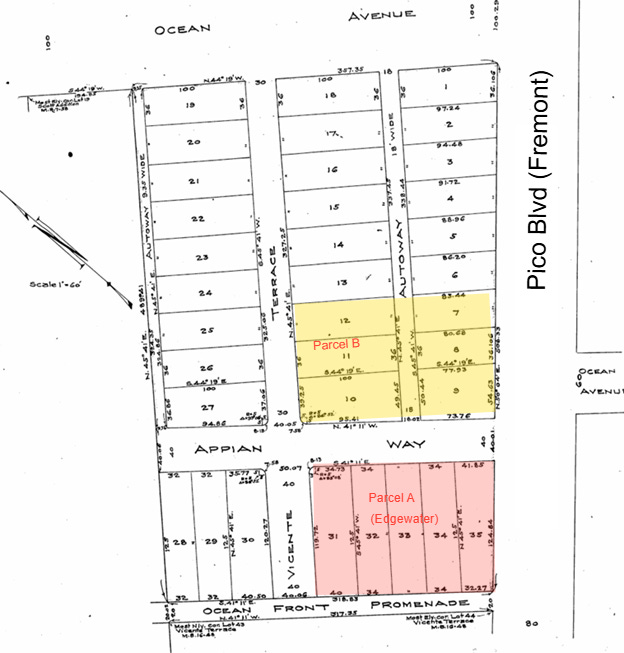
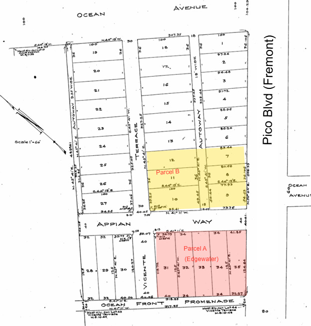
The Santa Monica Beach Hotel property consists of two parcels on Tract No. 1111. Parcel A is comprised of Lots 31 to 35 (the Edgewater property), and Parcel B is Lots 7 to 12 (across Appian Way).
In the late 1980s, due to their political acceptance, there is a boom in Santa Monica hotels. The City is trying to resolve its financial problems. Hotels are preferred to office buildings as they generate City income with less traffic. In 1989, while Lowes Santa Monica Beach and the Santa Monica Beach Hotel are under construction, there is a reaction against the hotel boom. Although an initiative to prevent further hotels along the beach fails, the concept leads to the creation of the Beach Overlay District, which still limits new large developments.
HKS is the architect for the SMBH project. Some of HKS/Hill-Glazier’s other coastal hotels and resorts in California include the Montage Resort & Spa in Laguna Beach, the Bacara Resort & Spa and the Four Seasons The Biltmore, both in Santa Barbara, and the Terranea Resort in Rancho Palos Verdes.
Samuel Craig Stein (1926 - 2009), who reportedly invests about $27MM of his own money and $71MM from Tokai Bank in the project, is himself forced into bankruptcy. SMBH charges that Phoenix-based Gosnell deliberately underbid the project and mismanaged the construction, resulting in major building defects. After the construction resumes, the new contractor alleges that some floors are out of level, the plumbing is not up to code, and portions of the hotel are built outside of the property lines. In 1995, SMBH wins an $47MM arbitration award against Gosnell. But Stein is unable to collect as Gosnell files for bankruptcy. In 1998, Stein settles with Gosnell’s bonding company.
The Edward Thomas Collection of Hotels (ETC) is founded in 1982 by third-generation hotel and real estate investors Edward and Thomas Slatkin, whose family previously owned the Beverly Hills Hotel. ETC is the independent owner and operator of Shutters on the Beach and the adjacent Hotel Casa del Mar - the only Los Angeles area hotels located on the sand.










