The Street Seen: Appian Way Apartments
3 Vicente Terrace @ Appian Way
In 1927, a brick exterior, 3-story apartment building is constructed at 3 Vicente Terrace on the northeast corner of Appian Way and Vicente Terrace.
Appian Way Apartments (1927)
In 1927, owner/builder H.A. Michel1 constructs the 3-story plus basement Appian Way Apartments on the northeast corner of Appian Way and Vicente Terrace.2 The building permit3 shows a $45,000 building with 24 units: 18 single-room apartments and 6 hotel rooms.4
The apartment building with American Colonial Revival (brick cladding, window style), Renaissance Revival (entry), and Streamline Moderne (sleek lines, horizontal bands, and curved corners) elements is designed by William Mellema.5 Both the owner/builder, Michel, and the architect, Mellema, are Dutch immigrants.
Michel (1928)
Michel dies (stomach cancer) in 1928, and his family (Elizabeth and children Johanna and Frank Michel) moves from Glendale into the building. In 1934, they sell the building to Milwaukee retiree, S.L. Aarons.
Aarons (1934)
In 1927, Sam Aarons6 retires to Santa Monica with wife, Bertha, and their two daughters, Harriet Aarons Fliegle (1905 - 1951) and Roslyn Aarons Du Val (1909 - 1978). Bertha Aarons’ sister, Fanny Sinar Hummel (1885 – 1966), is the resident manager of the apartments from 1934 to 1958. In 1939, confident that the State highway department will not require additional frontage on Appian Way,7 Aarons remodels the Appian Way Apartments. The new apartments include refrigeration, maid service, and garage accommodations. Samuel and Bertha Aarons move into the upgraded building.
Roop (1971)
Real estate agent, Frank M. Roop (1931 - 1999), owns the Appian Way Apartments from the early 1970s into the 1980s.
Community Corp (1988)
Community Corp Santa Monica (CCSM) acquires the Appian Way Apartments in 1988 for $865,000. The unreinforced masonry building is seismically retrofit in 1988, and the windows are replaced.
Henry Adrian Michel (1886 - 1928). Born in the Netherlands, Michel comes to the US in 1905, and to Los Angeles in 1909. In 1909 and 1910, he is very active building small houses.
He continues as a building contractor / small real estate developer up to his death in 1928.
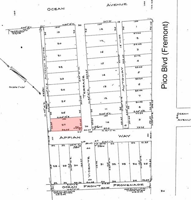
The 3 Vicente Ter 42/37-ft by 100-ft property on the northeast corner of Appian Way and Vicente Terrace is Lot 27 of Tract No. 1111 of 1911.
The original 1927 building permits for the 99-year-old building are on file with the City. The wood roof and floors are supported on interior wood columns and perimeter brick (unreinforced masonry) walls. There is no elevator. The rear exterior steel fire escape by Hollywood Ornamental Iron Works is added in 1927.
The Los Angeles County Assessor currently shows 24 units (8 per floor) with 6 bedrooms and 24 bathrooms. The 6 bedrooms are the 6 hotel units listed on the 1927 building permit.
Willem Jurjens Mellema (1889 - 1970). Born in the Netherlands, Mellema comes to the US in 1907. He graduates from Amherst and MIT. After his first wife dies in 1919, he comes to Los Angeles, where he is assistant chief engineer at the Milwaukee Building Company. William Mellema is an accomplished structural engineer and architect active in Los Angeles. He is known for designing projects funded by the Public Works Administration (PWA) in the early 1930s.

Samuel Lehman Aarons (1874 - 1943). Born in Milwaukee, WI, Aarons works in his father’s wholesale clothing business (Aarons Lehman & Sons). His brother, Charles Lehman Aarons (1872 – 1952), is a long-serving Milwaukee County Circuit Court judge. In 1904, Samuel Aarons marries Bertha Sinar (1878 - 1950).
In the early 1930s, there are various proposals to extend PCH (Roosevelt Highway) south along the coast to Venice. One proposal is for the “scenic” highway to run south from Colorado Blvd to Pico Blvd over Appian Way, then past Casa Del Mar and join Ocean Avenue near Hollister. This would require widening of the 40-ft wide Appian Way - by removing buildings.















